Nacional

Concluye temporada de huracanes en México con 31 ciclones

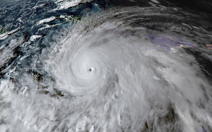
El Servicio Meteorológico Nacional (SMN) de México informó este sábado que durante la temporada de huracanes de 2025, de mayo a noviembre, se registraron en el país 31 ciclones con nombre, uno más que los 30 ocurridos en 2024.

La Comisión Nacional del Agua (Conagua) precisó en un comunicado que en el océano Atlántico se contabilizaron 13 ciclones: ocho tormentas tropicales, un huracán categoría 2 y cuatro huracanes mayores -categorías 3, 4 o 5-.

Y en el Pacífico, se registraron 18 sistemas: ocho tormentas tropicales, siete huracanes categoría 1 o 2 y tres huracanes mayores.

La temporada 2025 en el Atlántico fue la segunda con más ciclones categoría 5 -Erin, Humberto y Melissa-, igualando los tres registrados en 2017 y quedando solo uno por debajo del récord de 2005, resaltó el SMN.

Mientras que en el Pacífico, apuntó la autoridad, “la actividad fue constante desde el inicio de la temporada”, y el evento más significativo fue la intensificación de Erick, que el 19 de junio se convirtió en el huracán categoría 4 “con la evolución más temprana registrada en esta cuenca”.

Sobre los impactos en territorio nacional, indicó que en 2025 ingresaron dos ciclones tropicales, cifra menor al promedio climatológico de 1991–2020.

Sumado a ello, seis ciclones del Pacífico se desplazaron cerca de las costas mexicanas sin tocar tierra, pero ocasionaron “impactos indirectos como lluvias, oleaje elevado y viento”, agregó.

Del 15 de mayo al 30 de noviembre, en el Atlántico se presentaron los ciclones Andrea, Barry, Chantal, Dexter, Erin, Fernand, Gabrielle, Humberto, Imelda, Jerry, Karen, Lorenzo y Melissa.

Del 1 de junio al 30 de noviembre, en el Pacífico se formaron los sistemas Alvin, Barbara, Cosme, Dalila, Erick, Flossie, Gil, Henriette, Ivo, Juliette, Kiko, Lorena, Mario, Narda, Octave, Priscilla, Raymond y Sonia.

Por otro lado, el SMN informó que se contabilizaron 40 ondas tropicales en el país, de mayo a noviembre, cifra ligeramente superior al promedio histórico de 38.

Además, destacó el alivio que trajeron las tormentas a “la recuperación del almacenamiento de agua en las presas” del país, que alcanzó un nivel máximo del 72 %, cifra significativamente superior al 64 % registrado en 2024.

“Este incremento permitió que más de 80 presas superaran el 100 % de su nivel de aguas máximas ordinarias”, detalló, y resaltó el almacenamiento del Sistema Cutzamala, que alcanzó un máximo del 97 %, en contraste con el 67 % del año anterior.

Finalmente, señaló que los mayores incrementos en los niveles de almacenamiento se registraron en los estados de Sinaloa, Chiapas, Jalisco, Michoacán, Oaxaca y Sonora. (EFE)

Related Articles

Deja un comentario

Tu dirección de correo electrónico no será publicada. Los campos obligatorios están marcados con *

Back to top button